
960 000 $ USD
Коммерческая недвижимость для продажи, 2080 Brookshire Grocery Arena Drive, Bossier City, Луизиана 71112, Соединенные Штаты
- Номер MLS 21043931
1 320 m² (14 206 ft²)
Предлагается агентством Coldwell Banker Apex, REALTORS
Коммерческая недвижимость на продажу, местоположение:2080 Brookshire Grocery Arena Drive, Bossier City, Луизиана 71112, Соединенные Штаты, в настоящее время предлагается на продажу.2080 Brookshire Grocery Arena Drive, Bossier City, Луизиана 71112, Соединенные Штаты предлагается по цене:960 000 $.
Характеристики объекта
Недвижимость
- Размер объекта:
1 320 m² (14 206 ft²) - Характеристики: Приспособления Для Людей С Ограниченными Возможностями
Участок/Земля
- Размер земли/участка:
0 m² (2,31 ft²)
Строительство
- Год постройки: 2024
- Крыша: Полимерная Плитка
- Строительство: Кирпич
- Подвал и фундамент: На Плитах
Внутренние особенности
- Полы: Керамическая ПлиткаКовровое Покрытие
Утилиты
- Другие утилиты: Городской ВодопроводГородская Канализация
Описание
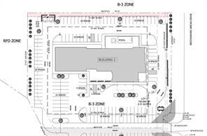
Great Location! This location designated for Hotel. Site plan recently revised to include larger hotel and more surrounding parking. Planned Development with 2.31 acres approved to build. World class billiards hall on-site and will host monthly and quarterly competitions...some televised. Civil Engineering plans, water, sewer, electric, and communications are done for you. Architectural plans can be provided if needed. Purchase land and build it or contract the developer to build it for you. Call us to discuss it today!
Местоположение
2080 Brookshire Grocery Arena Drive, Bossier City, Луизиана 71112, Соединенные Штаты